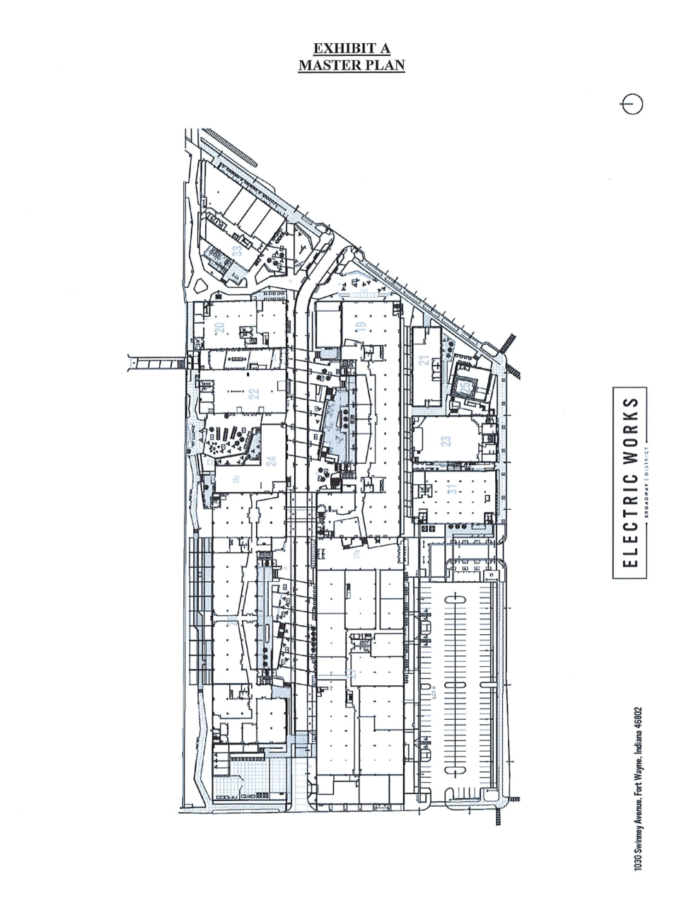
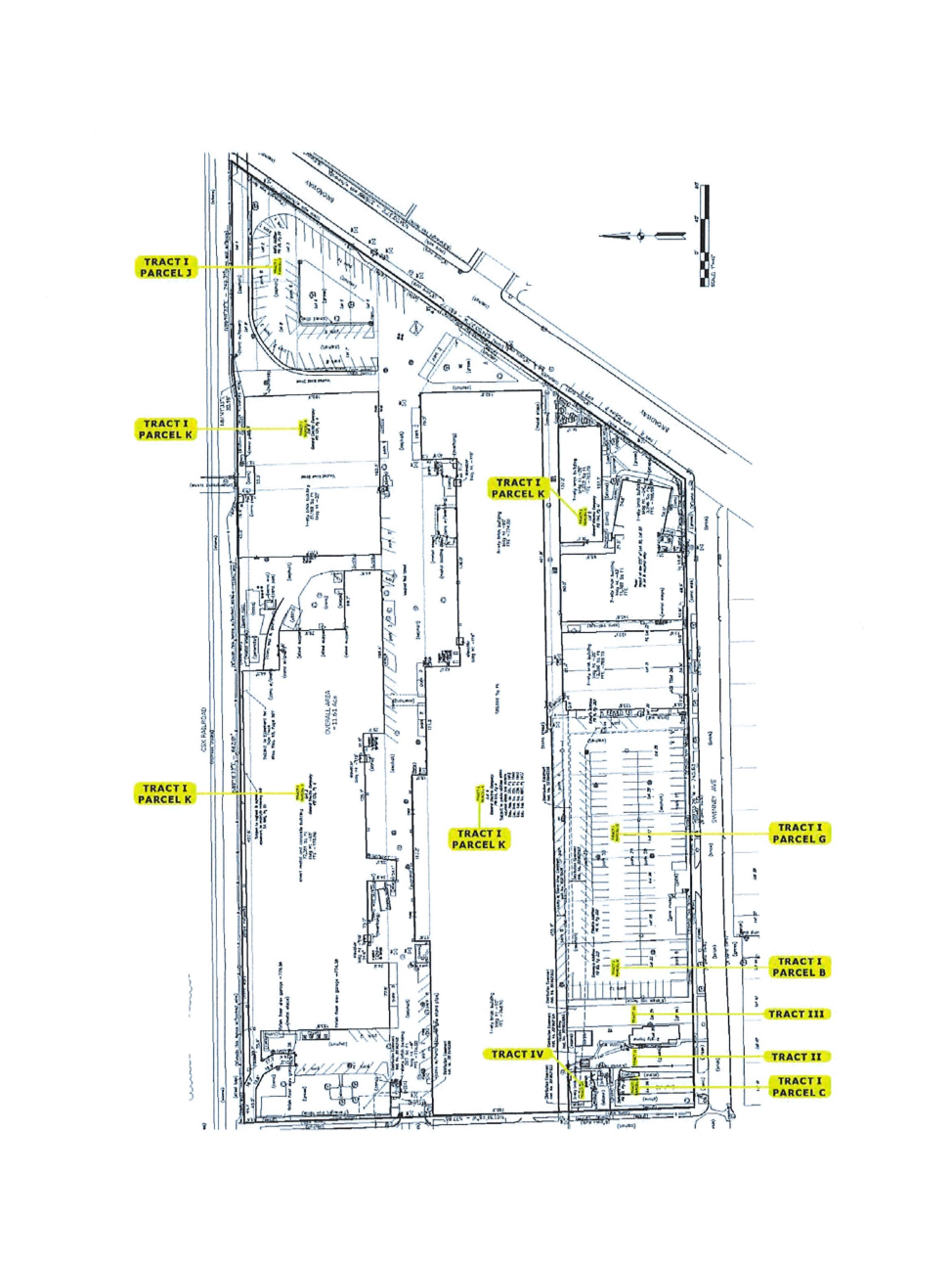
Document: The 2020 Economic Development Agreement between the City of Fort Wayne + Electric Works developers
The Local obtained a copy of the 2020 Economic Development Agreement between the City of Fort Wayne and Electric Works developers (Ancora/RTM Ventures/Broadway Redevelopment Partners/BSW Innovation Lab).




























